얼마 전, 와이프와 함께 동해 바다가 있는 삼척으로 여행을 다녀왔습니다. 세부 일정을 짜지 않고 정말 쉬러 간 여행이었는데, 유일하게 길게 일정을 잡아둔 것이 동해 낚시체험이었습니다. 저희는 삼척으로 갔기 때문에 삼척 바다 낚시 체험을 검색했고, 그 중 후기가 가장 많아 보이는 '럭키호' 낚시 체험을 예약하였습니다. 광고는 전혀 아니고 정말 제가 직접 체험한 후기입니다.
예약하기
우선 네이버에 '삼척 낚시 체험'을 검색하면 여러 업체들이 나오는데, 그 중 럭키호를 선택하였습니다.
낚시체험은 2시간에 3만 원, 4시간에 6만 원인데요. 저와 와이프는 4시간을 신청해서 총 12만 원을 냈고, 추가로 지렁이 비용까지 해서 13만 원인가 14만 원 낸 것 같습니다.
정보에 나와 있는 번호로 연락을 하시면 선장님께서 예약이 가능한지 친절하게 답변을 주십니다. 기타 궁금한 것들도 물어보시면 답변 잘 주시더라구요.
낚시 체험 후기
낚시 체험은 우선 대만족이었습니다. 처음 2시간을 탔을 때는 다른 분들과 함께 탑승했는데요. 가족 단위로 많이 오셨는데 아이들이 많이 타서 조금 정신없는 상황에서 낚시를 했던 것 같네요. 배가 어느 정도 위치로 가면 배를 고정하고 낚싯대를 잡는 방법부터 미끼를 끼우는 방법, 주의해야 할 사항까지 선장님께서 친절히 설명해주십니다. 여러 사람이 있는 과정에 방법을 알려주시는 것이다보니 친절하지 않다고 느끼시는 분들도 있겠지만, 제가 경험한 낚시체험 중에는 그래도 친절하신 편이었습니다.

처음 2시간은 생각보다 물고기가 잘 잡히지 않았습니다. 선장님이 알려주신 방법보단 제가 아는 방법을 적용해서 하다보니 잘 안 잡혔던 것 같은데요. 생각보다 2시간이 짧기 때문에 막상 잡은 물고기가 2마리밖에 안됐습니다. 저는 정말 적게 잡은 편이고, 많이 잡은 분들도 있었습니다.
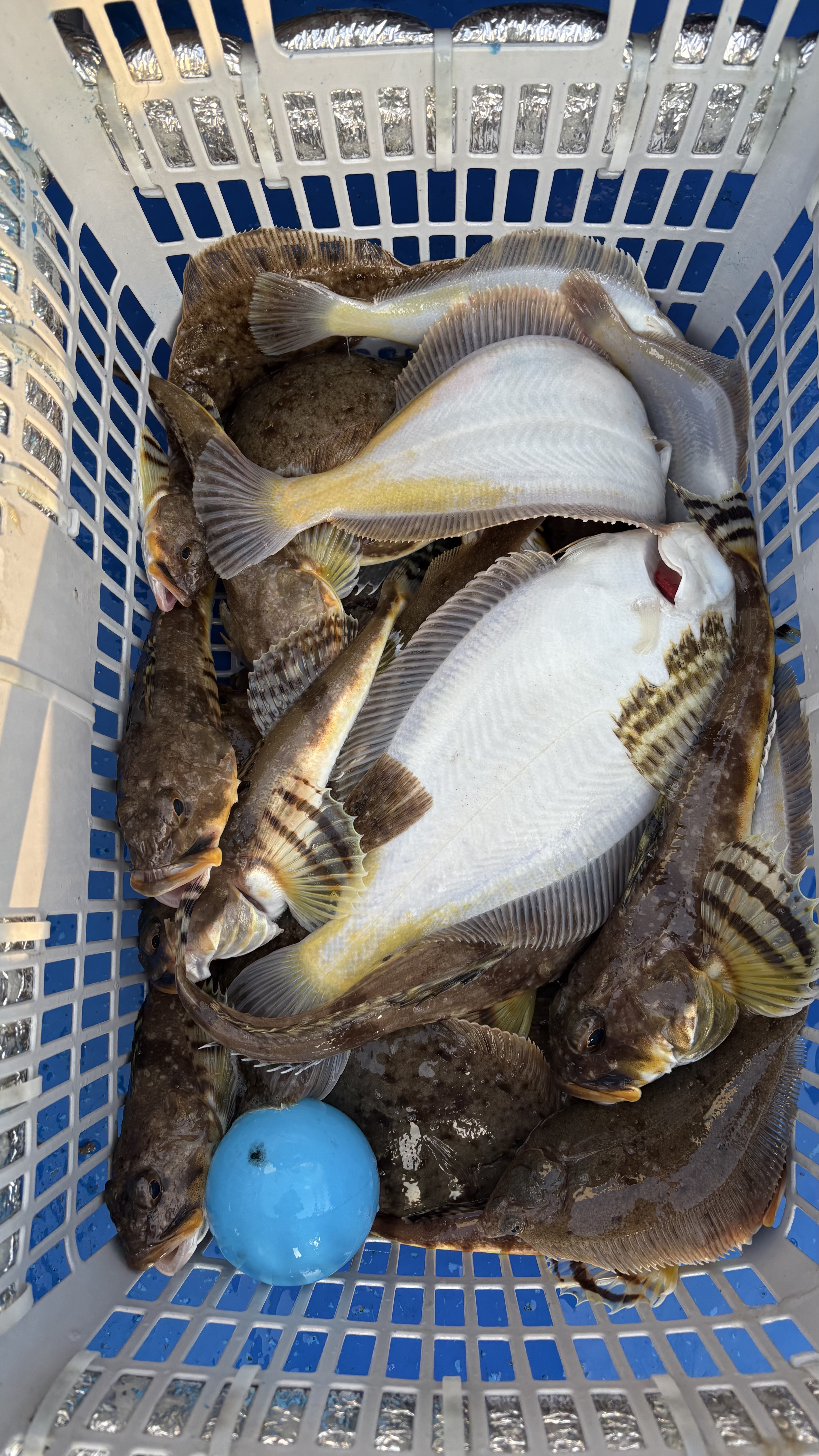
2시간만 체험을 신청한 분들을 내려드리고 다시 나와서 2시간 낚시를 진행할 때는 저와 와이프, 선장님 셋이서 낚시를 진행했습니다. 선장님도 낚시를 하시면서 도와주셨어요. 집중할 수 있는 환경이 되서 그런지 물고기가 더 잡히기 시작했고, 결국 5.7키로나 잡았습니다.

잡힌 어종은 참가자미와 회대기 등이었는데요. 생각보다 도다리는 잘 잡히지 않았습니다. 도다리 포인트에서도 다른 것만 잡히더라구요. 선장님 블로그를 보면 문어를 잡는 분들도 있었습니다. 블로그가 궁금하시면 아래 링크를 참고하시면 될 것 같습니다.
https://blog.naver.com/joykeeweon
삼척 배낚시 장호항 럭키호 010 2335 0126 : 네이버 블로그
장호항을 품은 바다에서 조업과 낚시업을 병행하는 시골남자가 들려주는 바다이야기~~
blog.naver.com
생선 손질은?
생선 손질은 선장님께 물어보시면 바로 손질할 수 있는 가게 위치를 안내해주세요. 가보면 대게를 비롯해서 여러 해산물을 판매하고 있는 사장님이 계신데, 낚시 결과물의 무게에 따라 손질 비용을 다르게 책정하시는 것 같았습니다. 저와 와이프는 총 5.7키로를 잡았고, 손질 비용은 5만 원을 드렸습니다.
회로 먹을 건 회로, 집으로 가져가서 튀겨먹을 생선은 또 다르게 손질해주셨습니다.
저희는 양가 부모님께 드릴 큰 참가자미 2마리씩을 제외한 나머지는 모두 회로 손질을 요청드렸는데요.
생각보다 양이 정말 많았습니다. 왼쪽이 참가자미, 오른쪽이 회대기 외 잡어입니다.


다시 방문하고 싶은 곳
다른 지역에서도 낚시체험을 몇 번 해봤는데, 생각보다 잘 잡히지도 않아서 아쉬웠던 기억만 남아 있었는데, 4시간 낚시를 하면서 원없이 낚시를 하고 온 것 같습니다. 힘들기도 힘들지만, 손맛을 잊을 수가 없네요. 럭키호 선장님도 너무 친절하셨고, 고기도 잘 잡히는 곳이라서 또 한번 가서 낚시를 하고 싶다는 생각을 많이 했습니다.
다른 낚시 체험을 운영하는 선장님들도 친절하시겠지만, 걱정이 되고 부담이 되는 분들은 럭키호로 방문해보시면 재미있게 낚시체험하고 오실 수 있을 거에요. 위에 공유드린 블로그 통해서도 다른 분들이 어떻게 체험했는지 보실 수 있을 겁니다.
동해 낚시 체험

댓글